| ID-nummer: | 208333DW2533124 |
| Alder: | 0 år |
| Stangmål: | 168 cm |
| Spring: | Rå |
| Military: | Rå |
| Farve: | Brun |
| Race: | Dansk Varmblod |
| Køn: | Hingst |
| Hestedata: | Rideresultater, indekstal og meget mere |
| Far: HALLIGO Z (DVH 1517) | FF: HALIFAX VAN HET KLUIZEBOS (056002W00259772) | FFF: HEARTBREAKER (89.4335) |
| FFM: DALIDA VD HEFFINCK (W-215522-VB) | ||
| FM: CLAIRE Z (056015Z55857017) | FMF: COMILFO PLUS Z (DE441410863509) | |
| FMM: CAICA Z (056015Z55667008) | ||
| Mor: F.A. RIOJA (208333DW0901367) | MF: NUMERO UNO (95.3822) | MFF: LIBERO H (DE321210111681) |
| MFM: JOLANDA (91.7457) | ||
| MM: RUANDA I (DE421000100701) | MMF: QUINAR (DE321210203495) | |
| MMM: KONTEGA (DE321210066095) |
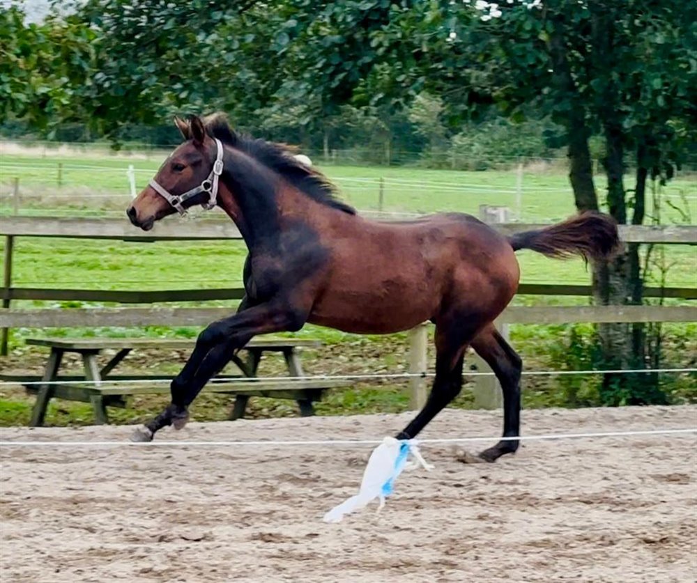
Hvis du vil investere I fremtiden, og ridelighed, kapacitet og temperament står øverst på din ønskeliste, så skal du kigge videre på "Enghavegårds Hastings "
Hastings er et særdeles imødekommende og moderne, højstillet og ædelt hingsteføl, hvis
afstamning giver alle muligheder for at indfri dine ønsker.
Hans mor A-hesten og RDH-hoppen F.A.Rioja var
igennem Berider Maria Asferg Bjørnkærs uddannelse på stutteri Ask hendes faste stævnehest, og sammen havde de over 70 sejre
og placeringer.
Maria siger selv, at Rioja er en hest "Med hjertet det rigtige sted "
Hastings far "Bøgegårdens Halligo Z " er en ung men særdeles spændende hingst e. Halifax van het Kluizenboss, som både er kåret i Zangersheide og i DV.
Halligo er udstyret med en særdeles kraftfuld galop og en super balance. Han vandt, med Jacob Schmidt i sadlen ,det danske 4-års
championat.
Hastings har et forventet stangmål på 168-170 cm.
Oplagt hingste og Youngrider-emne
| Firma: | Enghavegård /Stald Bidstrup | Vis på kort |
| Navn: | Tine Bidstrup |
| Adresse: | Gimlinge Enghave 3 |
| Postnr.: | 4200 |
| By: | Slagelse |
| Land: | Danmark |
| Telefon: | 23293366 |
| Mobil: | 23293366 |
| E-mail: | tine.bidstrup@mail.dk |
| Postnr.: | 4200 |
| By: | Slagelse |
| Land: | Danmark |